Hurricane Melissa: A Warning of Increasingly Violent Storms
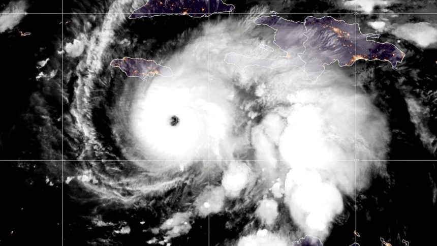
Hurricane Melissa is currently wreaking havoc in the Caribbean, particularly in Jamaica, where it made history as the first category 5 hurricane to make landfall on the island. What sets Melissa apart from other storms is not just its size and strength, but the alarming speed at which it intensified. In just one day, it escalated from a moderate storm to a major hurricane with wind speeds of 170mph.
Scientists refer to this phenomenon as “rapid intensification,” a trend that is becoming more common as the planet warms. The challenge lies in forecasting rapid intensification, which, despite improvements, remains a significant hurdle for meteorologists.
To improve forecasting accuracy, experts emphasize the need for more detailed monitoring of a hurricane’s inner core, particularly near the eyewall where the strongest winds are located. Utilizing higher-resolution computer models that can better capture a storm’s complex structure is also crucial. While new machine learning techniques show promise in enhancing forecasting capabilities, they are still in the testing phase.
Rapidly intensifying storms pose a significant threat as they often catch communities off guard, leaving little time for evacuation or preparation. Tragic events like Hurricane Otis in Mexico and Typhoon Rai in the Philippines serve as stark reminders of the devastating impact of rapidly intensifying storms.
The conditions conducive to rapid intensification include high atmospheric humidity, low wind shear, and warm sea-surface temperatures. Recent research suggests that these conditions are becoming more prevalent due to human-induced climate change. Warmer seas provide extra energy for storm intensification, while rising sea levels contribute to more severe storm surges and coastal flooding.
Climate change is also linked to increased rainfall, as a warmer atmosphere holds more moisture. In the case of Hurricane Melissa, the storm’s slow movement has raised the risk of significant flooding and landslides in Jamaica.
As storms intensify faster and reach higher categories, the need for improved monitoring and forecasting becomes paramount. Emergency responders must be prepared for the scenario of intense hurricanes arriving with minimal warning.
Hurricane Melissa serves as a stark reminder of the growing risks associated with climate change-induced storms. As the planet continues to warm, the frequency and intensity of extreme weather events are expected to increase. It is essential for scientists, policymakers, and communities to work together to enhance preparedness and resilience in the face of escalating climate-related challenges.
This article was originally published on The Conversation and has been republished under a Creative Commons license. Artificial Intelligence: The Future of Technology
Artificial Intelligence (AI) is a rapidly advancing technology that is reshaping the way we live, work, and interact with the world around us. From self-driving cars to virtual assistants, AI is becoming increasingly integrated into our everyday lives. But what exactly is AI and how is it changing the future of technology?
AI refers to the development of computer systems that can perform tasks that typically require human intelligence, such as problem-solving, decision-making, and language understanding. These systems are designed to learn from data, adapt to new information, and make decisions based on patterns and trends.
One of the key advancements in AI is machine learning, a subset of AI that enables machines to learn from data without being explicitly programmed. This allows AI systems to improve their performance over time and make more accurate predictions. Machine learning is being used in a wide range of applications, from predictive analytics in finance to personalized recommendations in e-commerce.
Another important development in AI is natural language processing (NLP), which enables machines to understand and generate human language. NLP is used in virtual assistants like Siri and Alexa, as well as chatbots and translation tools. As NLP technology continues to improve, we can expect to see more advanced language-based applications in the future.
AI is also being applied in the field of healthcare, where it is being used to analyze medical images, predict patient outcomes, and personalize treatment plans. AI-powered diagnostic tools are helping doctors make more accurate diagnoses and identify potential health risks earlier. In the future, AI could play a key role in revolutionizing healthcare by enabling more precise and personalized care.
In the realm of robotics, AI is driving advancements in autonomous systems that can perform tasks without human intervention. From drones that can deliver packages to robots that can assist with household chores, AI-powered robots are becoming more sophisticated and capable. As AI technology continues to advance, we can expect to see more autonomous robots in a wide range of industries, from manufacturing to agriculture.
Despite the many benefits of AI, there are also concerns about its impact on jobs, privacy, and ethics. Some experts worry that AI could lead to widespread job displacement as machines take over tasks that were previously done by humans. There are also concerns about the potential misuse of AI for surveillance and control, as well as the ethical implications of using AI in decision-making processes.
As AI technology continues to evolve, it is important for policymakers, businesses, and society as a whole to consider the implications of AI and develop strategies to ensure that it is used responsibly and ethically. By harnessing the power of AI for the greater good, we can unlock its full potential to improve our lives and shape the future of technology.

