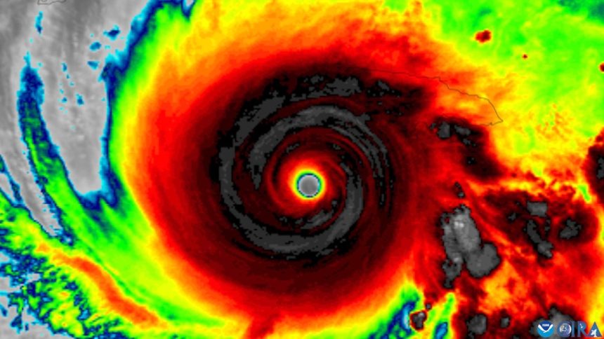
When Hurricane Melissa made landfall in Jamaica as a Category 5 hurricane on October 28, it left a trail of destruction in its wake. The sheer power of the storm went beyond what experts had anticipated, with winds gusting well above the threshold for a Category 5 hurricane. As the affected regions begin to assess the extent of the damage, scientists are already pointing to climate change as a key factor in the storm’s intensity.
The aftermath of Hurricane Melissa has reignited discussions about the adequacy of the current Saffir-Simpson Hurricane Wind Scale, which categorizes hurricanes based solely on their peak sustained wind speeds. The scale, which ranges from Category 1 to Category 5, may not fully capture the increasing strength of modern hurricanes fueled by climate change. In fact, some scientists have proposed the creation of a new category, Category 6, to account for storms with sustained winds exceeding 192 miles per hour.
While Hurricane Melissa fell short of the proposed Category 6 threshold, its peak sustained wind speeds of 185 mph still put it among the most powerful storms on record. The storm’s intensity serves as a stark reminder of the destructive potential of hurricanes in a changing climate. Climate change is not directly responsible for creating monster hurricanes, but it does “load the dice” in favor of stronger and more severe storms.
Analyses conducted by organizations like Climate Central and ClimaMeter have confirmed the role of climate change in enhancing Hurricane Melissa’s strength. Warmer ocean waters and increased atmospheric moisture due to climate change have contributed to more intense hurricanes with higher wind speeds and heavier rainfall. Rising sea levels have also made coastal areas more vulnerable to storm surge.
However, the limitations of the Saffir-Simpson scale are evident in the case of Hurricane Melissa. The scale only considers wind speeds and does not account for other hazards like storm surge and rainfall, which can be equally if not more destructive. Storms like Hurricane Katrina and Hurricane Harvey, which caused widespread devastation despite being less than Category 5 hurricanes, highlight the need for a more comprehensive metric for assessing hurricane risks.
Hurricane scientists are actively seeking alternative ways to communicate the complex threats posed by hurricanes to the public. While the Saffir-Simpson scale provides a simple numerical rating, it may not fully capture the multifaceted dangers of a hurricane. As Hurricane Melissa’s impact demonstrates, the true devastation of a hurricane lies in a combination of factors, from powerful winds to flooding and storm surge.
In conclusion, Hurricane Melissa serves as a sobering reminder of the evolving nature of hurricanes in a changing climate. As scientists continue to study the impacts of climate change on hurricane intensity, the need for a more nuanced and comprehensive approach to assessing hurricane risks becomes increasingly apparent. The aftermath of Hurricane Melissa underscores the importance of understanding the complex interactions that shape these powerful storms and their devastating consequences.

